UAS Flights Could End Ugly Oranges in California
A new method for managing irrigation with UAS may be easier and more effective than anything used by farmers today. It's designed to solve a pressing problem for California orange farmers: getting the coveted "Fancy" quality classification for their fruit. Left at a constant irrigation level, some orange varieties will develop creases that make them worthless for anything but juicing, so farmers must temporarily restrict water levels throughout the season, testing trees periodically to see how much water they're receiving. Normally, this is done by driving out to the field and applying a pressure gauge to leaves from random trees, testing the liquid content. But this method is prone to error, since it's far too time-consuming to test enough trees for a representative sample.
David Goldhamer of the University of California's Agricultural Research Center, however, thinks he has found a way to automate the process. Goldhamer has set UAS to fly over an entire orchard, capturing ultra-high resolution infrared images. Each pixel in the images can be read for temperature, which is affected by how much water is in the area — lower temperatures mean more irrigation. By getting a full image of an orchard, farmers can keep the water levels consistent, resulting in both more attractive fruit and reduced water consumption.

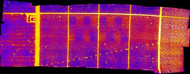
Thermal infrared cameras take thousands of images at regular intervals on a voyage across hundreds of acres. Computer software stitches the images together to create a super high-res image, in which each pixel can be read for temperature—cooler areas show up in cool tones, while warmer areas appear orange, red and yellow. In the aerial image here, powerlines, asphalt roads, metal towers cut across the picture in yellow. The scientists were experimenting with different levels of irrigation, which are visible in the patterns of blue and red across the tree canopy.
“You can clearly see those stress levels associated with different amounts of water,” Goldhamer explains, “You can see there’s nothing consistent about the colors and that’s the problem. When you’re irrigating, you’d think the stress levels would be uniform, but it’s not clear at all and that’s the challenge of trying to manage a commercial orchard—all the variability. Some trees get enough water, some don’t. That’s the game in trying to move the science forward, making the irrigation more consistent. Technology that enables monitoring all the trees at once is the current state of the art.”
At this point, the state of the art is not the state of crop management in California. But Goldhamer is quick to assert, “It isn’t a matter of if this technology will be used, it’s a matter of when.” Manufacturers, he says, are looking for additional opportunities for their aircraft, and the Obama administration has charged the FAA with drafting guidelines for commercial use of UAS in the US. In a couple of years, farmers may be able to sit at a computer and monitor the stress level of every single tree in their orchard, ensuring that each orange they send to the packing house has skin perfect enough to be called Fancy.
All photos are courtesy of David Goldhamer
Sources: The Verge, The Smithsonian
